25 Julian Street, Penola SA 5277
$149,000
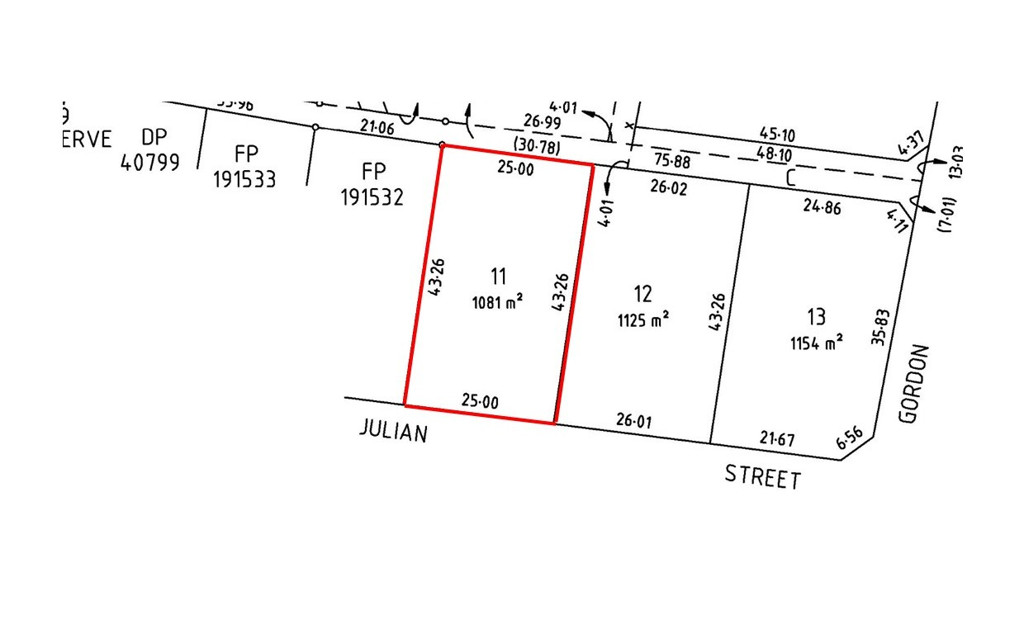
Land Area
1081 m2
Residential

Property Description

Prime Penola Position to Build Your Dream Home!

Here’s your chance to secure a generous 1081m² allotment right in the heart of Penola. With an impressive 25 metre frontage and a convenient location close to all township amenities, this property offers the ideal setting to bring your dream home to life.
The block is fenced on three sides, level, and ready for building, making it easy to plan your perfect home. Services are all close at hand with mains water, connected, power runs along the front of the property, and a STEDS connection is also available. Everything you need is ready for an easy start to your build.
Whether you’re looking to design your perfect family home or invest in a well-located piece of land, 25 Julian Street is a standout choice. Spacious, well positioned, and surrounded by the charm of Penola, this property is ready and waiting for your vision.
Opportunities like this don’t come along often so ring Jo on 0429 854 910 today to explore the potential this fantastic block has to offer before it gets snapped up!

Disclaimer:
While every effort has been made to ensure the accuracy of the information contained herein, PPHS makes no representation or warranty as to its accuracy, reliability or completeness. Interested parties should conduct their own independent investigations and seek appropriate professional advice. PPHS accepts no liability for any loss arising from reliance on this information.

Property Features

  • Land Area
    Land Size: 1081 m2

Property Location